Category 5 storm Melissa threatens Jamaica with catastrophic damage


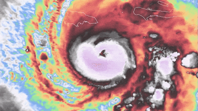
The Washington Post reported that on Sunday night, satellite intensity estimates for Melissa jumped off the charts – provisionally reaching never-before-observed wind speeds of almost 306km/h in the Atlantic basin. Hurricane-hunter observations were lower than those estimates, but their mission didn’t coincide with the satellite-estimated peak.

“We’re witnessing satellite history in the Atlantic,” meteorologist Michael Lowry wrote.

The storm’s winds have the potential to cause “total structural failure”, the US hurricane centre said. That’s especially true for mountainsides and hills exposed to the brunt of the storm, where wind speeds could register up to 30 per cent stronger.

Parts of eastern Jamaica could receive more than 750 millimetres of rain while western Haiti could get 400mm, the hurricane centre said, citing the likelihood of “catastrophic flash flooding and numerous landslides”.

A storm of Category 4 or higher has not made landfall in Jamaica in 174 years of record-keeping. Hurricane Gilbert was a Category 3 storm when it hit the island in 1988. Hurricanes Ivan and Beryl were both Category 4, but they did not make landfall, said Evan Thompson, principal director at Jamaica’s meteorological service.

Mandatory evacuations were ordered in flood-prone communities in Jamaica, with buses ferrying people to safe shelter.

Jamaican government officials said they were worried that fewer than 1000 people were in the more than 880 shelters open across the island.

“It’s way, way below what is required for a Category 5 hurricane,” said Jamaican Transport Minister Daryl Vaz, who urged people “to be smart … If you are not, unfortunately, you will pay the consequences”.

But some insisted on staying. “I hear what they say, but I am not leaving,” said Noel Francis, a 64-year-old fisherman who lives on the beach in the southern town of Old Harbor Bay, where he was born and grew up. “I can manage myself.”

Several towns along Jamaica’s southern coast already reported power outages as winds picked up throughout the night.

People in Jamaica stock up on groceries ahead of the strom.Credit: AP

“I don’t think the storm will damage my house. My only concern is flooding, because we live near the sea,” said Hyacinth White, 49, who also said she had no plans to evacuate to a shelter.

Officials said the biggest storm surge was expected in the Black River community in western Jamaica, where Sandra Walker was the sole street vendor working just hours ahead of the hurricane.

“I have no choice but to be here,” she said as she sorted potatoes, green bananas, tomatoes and scallion stalks in her stall.

Walker, a single mother-of-two, is still struggling to recover after Hurricane Beryl destroyed her business and home last year. She lives by the ocean but does not plan to go to a shelter because she had a “terrible” shelter experience during Hurricane Ivan, when the facility offered only a handful of tins of corned beef to share.

The slow-moving storm has killed at least three people in Haiti and a fourth person in the Dominican Republic, where another person remains missing. Two people died in Jamaica over the weekend as they cut trees ahead of the storm.

“It’s nothing to play with,” Jamaican Water and Environment Minister Matthew Samuda said. “The time for preparation is all but over.”

More than 50,000 customers were without power. Landslides, fallen trees and downed power lines were reported ahead of the storm.

In eastern Cuba, a hurricane warning was in effect for Granma, Santiago de Cuba, Guantánamo and Holguin provinces, while a tropical storm warning was in effect for Las Tunas. More than 500 millimetres of rain were forecast for parts of Cuba, along with a significant storm surge along the coast.

Cuban officials said they would evacuate more than 600,000 people from the region, including Santiago, the island’s second-largest city.

AP, Bloomberg


Source

Visited 1 times, 1 visit(s) today

Recommended For You

Avatar photo

About the Author: News Hound